Home     Resources

 

FAIRHAVEN, VERNON COUNTY, MISSOURI

 

     --The people of Connelly Springs will celebrate the anniversary of the laying off of the town and dedicating the springs to the use of the public on the 8th of August.

Nevada Noticer, Nevada, Missouri; 25 July 1889.

 

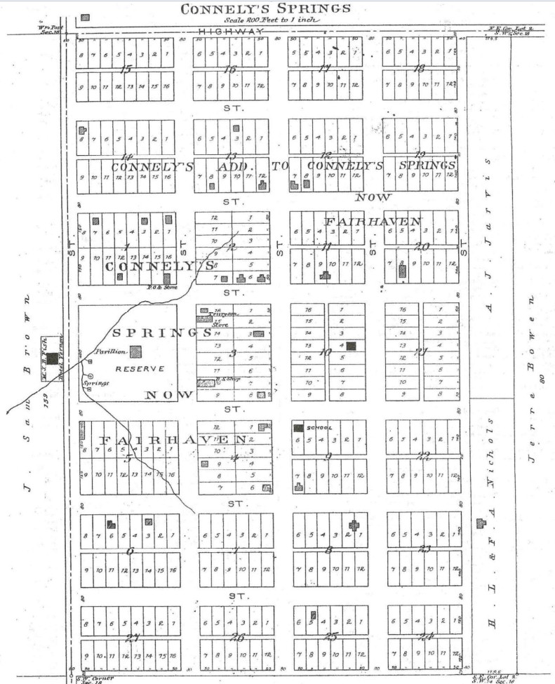
1903 Town Map of Connely's Springs, now Fairhaven

 

     Connely's Springs, now called Fair Haven Springs, stands on the western line of Bacon township (sw. 1/4 sw. 1/4 sec. 18-37-29). It was regularly laid out by the owner of the site, J. W. Connely, and the necessary deed made by that gentleman (and Emily, his wife,) July 28, 1885. The surveying was done by C. N. Logan, county surveyor.

     The town was started at the site of the mineral springs, so-called, and like most places of the sort, grew into favor rapidly. The site is on a gently rolling prairie of sufficient elevation to be breezy and healthful. West of the springs, seventy-give yards away, is a beautiful grove of native trees, and altogether the natural situation is all that can be desired.

     The springs are five in number, and each contains water of a different character from the others. One is strongly impregnated with iron, another with sulphur, and so on. An analysis by a prominent St. Louis chemist shows that the water of the largest spring contains potassium, sodium, magnesium, carbonic acid, calcium, iron, nitric acid, lithia, sulphuric acid and organic matter. The total amount of solids in a gallon is 31.26 grains. The business interests of Fair Haven are represented by a general store conducted by True & Son, and a good hotel conducted by W. H. Thomas.

1911 History of Vernon County, Missouri. p. 523-524

 

 

  The above picture is shared by Vicki Broughton. The back of the photo reads:  Valle Towne, Minerva Towne, Estelle Thomas, Lucy Dunn, Jean Thomas, Charles Adcock, Glen Stevens, Fair Haven Springs, Missouri. 1922 or 23.

   Vicki is says she is related to Valle Towne and Minerva Towne -- Sumner Valle Towne was a cousin. Estelle Thomas married Glen Stevens and lived in Nevada, MO.

 

 

Return to Towns and Townships

Please contact the County Coordinator if you have family information or photos that can be displayed on this page. A special 'Thank you!' to those who have generously shared pictures and information that makes these pages possible

 

 

This information is provided for use in your personal family history research by the Cedar and Vernon County Missouri Genealogical Society. Do not copy this information and publish elsewhere on the internet, post on other websites, or in blogs without the express written consent of the Vernon County MOGenWeb Coordinator and the Cedar & Vernon County Genealogical Society. Links to web sites that are not part of the USGenWeb Project are provided for your convenience and do not imply any endorsement of the web sites or their content by The USGenWeb Project.

 

   Home   Resources

 

  

Missouri State GenWeb Coordinator     Asst. State Coordinator

 

site search engine by freefind

 

© 2005-2026  Cedar & Vernon County Genealogical Society and

Vernon Co MOGenWeb Coordinator, N. Carroll, County Coordinator email